SHF MARKET
Le site de vente de jeunes chevaux & poneys de sport
SHF MARKET
Le site de vente de jeunes chevaux & poneys de sport

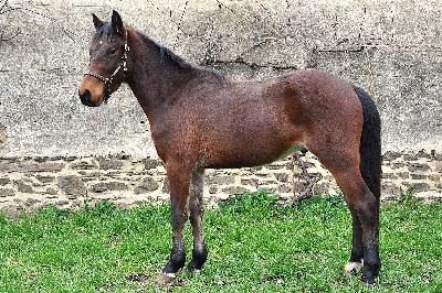
MOWGLY DU GARON

Vente assujettie à la TVA
Annonce mise à jour le 20/03/2026
Auvergne-Rhône-Alpes (69630)

MOWGLY DU GARON

Vente assujettie à la TVA

Informations

Pedigree Performance

Informations

Race : Origine Constatee
Sexe : Hongre
Âge : 4 ans
Robe : Bai
Taille : 141 cm
Discipline : Dressage, CSO, CCE, Hunter, Loisirs
Voir la Fiche SHF

Pedigree Performance

KHOVEN'S DU GARON, NFC EMMICKHOVEN'S DIEGO, NF KANTJE'S RONALDO, NF
NONNENBOS CHARLOTTE, NF
BLUE DREAM DU GARON, PFS LENNICHA DE FLORYS, PFS
KYOTO, PFS
KATNISS DU GARON, NF EMMICKHOVEN'S DIEGO, NF KANTJE'S RONALDO, NF
NONNENBOS CHARLOTTE, NF
UDINE DU GARON, NF GALLANT OF VAL DOR, NF
TAMOUR DES ETANGS, NF

Description

Qualités Force Franc Gentil Respect

Points Forts : Poney gentil avec de la force. Se prépare au CCJP 4ans. Il a de la force, une bonne couverture et se montre respectueux et franc.

Coordonnées du vendeur

Chargement......